Noviembre 13, 2025

Login to your account

Username *
Password *
Remember Me

Create an account

Fields marked with an asterisk (*) are required.
Name *
Username *
Password *
Verify password *
Email *
Verify email *
Captcha *
Reload Captcha

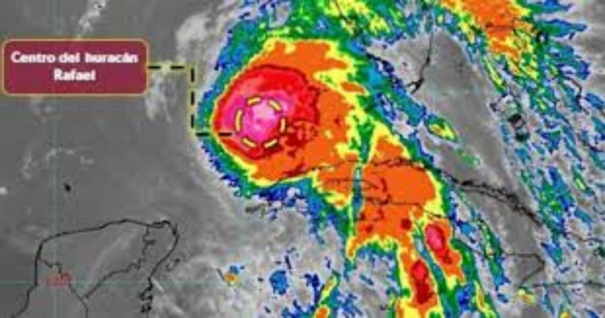
Tamaulipas listo ante posible llegada del Huracán Rafael

Aunque las posibilidades de su llegada al noreste de México se reducen, Tamaulipas se reportó preparado para el Huracán Rafael.

CIUDAD VICTORIA 07 de Noviembre del 2024 (RN Noticias) con información de Expreso.- Los focos de alerta volvieron a prenderse en Tamaulipas ante la posible llegada de un potente ciclón en días siguientes.

Sin embargo, las posibilidades de que el actual Huracán “Rafael”, de categoría 2, llegue a tierras tamaulipecas están pasando a ser mínimas, ya que dos eventos meteorológicos como lo son un anticiclón y un nuevo frente frío, que sucederán este fin de semana, desplazaría el ciclón hacia el sur o norte fuera de la Entidad.

Por tanto existen dos rutas futuras al que este evento pudiera llegar, que es hacia los Estados Unidos o a Veracruz.

“Panorama complejo para Rafael; pronósticos recientes indican un desplazamiento más hacia el Oeste de jueves a viernes debido a un anticiclón al Norte, pero de sábado a domingo un frente frío entraría a escena y también interactuaría con el sistema”.

“Por ahora, la incertidumbre ES MUY ALTA, hay escenarios que lo acercan a la costa Oeste del Golfo de México a inicios de la próxima semana”, expuso Meteorología Tamaulipas.

Así también, otra agencia informativa local climatológica, denominada como: “El Tiempo Tamaulipas”, expuso que al terminar la noche de ayer miércoles, Rafael tuvo un leve ajuste en su trayectoria hacia el suroeste, por lo que descartó posibles daños en la zona norte de Tamaulipas.

Sin embargo, la naturaleza es muy cambiante y todos los pronósticos pueden cambiar d e último momento, por lo que exhortan a mantenerse informados a través de fuentes confiables o medios de comunicación debidamente establecidos.

“Continúa ajustándose la trayectoria de Rafael, ahora con un ligero cambio hacía el Suroeste, continuará ajustándose y posiblemente no será un peligro para el norte de Tamaulipas. Este sistema tendrá que lidiar con vientos cortantes (Cizalladura) y un Frente frío a finales de semana…”.

 “Seguiremos actualizando”, indicó El Tiempo Tamaulipas.

Valora este artículo
(0 votos)

Deja un comentario

Asegúrese de introducir toda la información requerida, indicada por un asterisco (*). No se permite código HTML.

© 2021 RNnoticias, Derechos reservados. Edit By JCP