Noviembre 06, 2025

Login to your account

Username *
Password *
Remember Me

Create an account

Fields marked with an asterisk (*) are required.
Name *
Username *
Password *
Verify password *
Email *
Verify email *
Captcha *
Reload Captcha

Frontera Norte

En la región noreste, el plan es efectuar una ruta turística en tren que se trazaría desde Monterrey a Tampico y del puerto jaibo a…
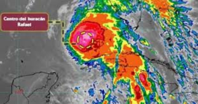
Aunque las posibilidades de su llegada al noreste de México se reducen, Tamaulipas se reportó preparado para el Huracán Rafael.
Morena y sus aliados buscan mantener su presidencia de la Mesa Directiva en el Congreso del Estado de #Tamaulipas; proponen que la presidencia se elija…
En los meses de Noviembre y Diciembre la Oficina Fiscal, mantendrá beneficios fiscales para dueños de vehículos 2010 a 2015 que tengan adeudos.
Haría la SET cambios para recuperar los días de “puente” para recuperar el uno de octubre y el día de muertos, para cumplir los 185…
La mayoría de ellos habían sido insaculados para participar con pase directo en la elección del 2025, pero comunicaron al Senado su declinación.
Francisco Noriega Orozco recibió el apoyo de la mayoría calificada en el Congreso para dejar de ser interino.
El presidente de la UGRT, dijo en entrevista para Expreso que ahora toca el turno de los productores a cuidar los recursos naturales.
Demanda la FECANACO, indagar si cumplen con la ley, en cuanto al pago de impuestos y prestaciones para los trabajadores.
Piden autoridades a municipios aplicar la ley con multas y sanciones a quienes tiran desechos en la vía pública de forma ilegal.
© 2021 RNnoticias, Derechos reservados. Edit By JCP